Схема об'їзду: ще частину Пекарської перекрили на рік

У Львові перекриють новий відрізок вулиці Пекарської. Фото міськради

У Львові перекриють новий відрізок вулиці Пекарської. Фото міськради

Транспорт та інфраструктура
25 листопада 2020 17:48

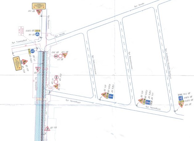
Від 26 листопада у Львові перекриють відрізок вулиці Пекарської на ділянці від вулиці Шімзерів до Тершаковців.  Рух буде перекрито для транспорту до 1 вересня 2021.

«На відрізку від вулиці Мечникова до  Шімзерів поміняно всі комунікації і підрядник вже стелить бруківку. А від завтра розпочинаємо роботи на відрізку від вул. Шімзерів до вул. Тершаковців, тобто в роботі буде вже вся ділянка вулиці, які має бути відремонтована", — повідомили у департаменті житлового господарства та інфраструктури ЛМР.

Об'їзд дороги відбуватиметься відповідно до затвердженої тимчасової схеми організації дорожнього руху.

Схема: у Львові перекриють новий відрізок вулиці Пекарської. Фото міськрадиСхема: у Львові перекриють новий відрізок вулиці Пекарської. Фото міськради

У Львові перекриють новий відрізок вулиці Пекарської. Фото міськрадиУ Львові перекриють новий відрізок вулиці Пекарської. Фото міськради

Нагадаємо, ремонт вулиці Пекарської розпочався 1 вересня. Проектом реконструкції, який розробило ЛКП «Інститут просторового розвитку, передбачено капітальний ремонт проїзної частини, влаштування місць для паркування, будівництво велосипедних доріжок, капітальний ремонт тротуарів, заміна мереж водопостачання та каналізації, зовнішнього освітлення, зовнішнього газопостачання, електропостачання, теплопостачання, мереж зв’язку.

ТОП РОЗДІЛУ
Це чат - пиши та читай 👇
Ого! ти доскролив до нашого чатбота 😏
Тепер у тебе є можливість налаштувати його під себе і дізнаватися важливий контент першим, щоб розповідати друзям
Тільки пошта, тільки хардкор 🤘
Ми в соцмережах